Tascó Petit
Nicknamed 'The Aquarium' for the absurd density of fish life. Eagle rays appear here in summer. Depths to 45m but excellent at any level.
The dive
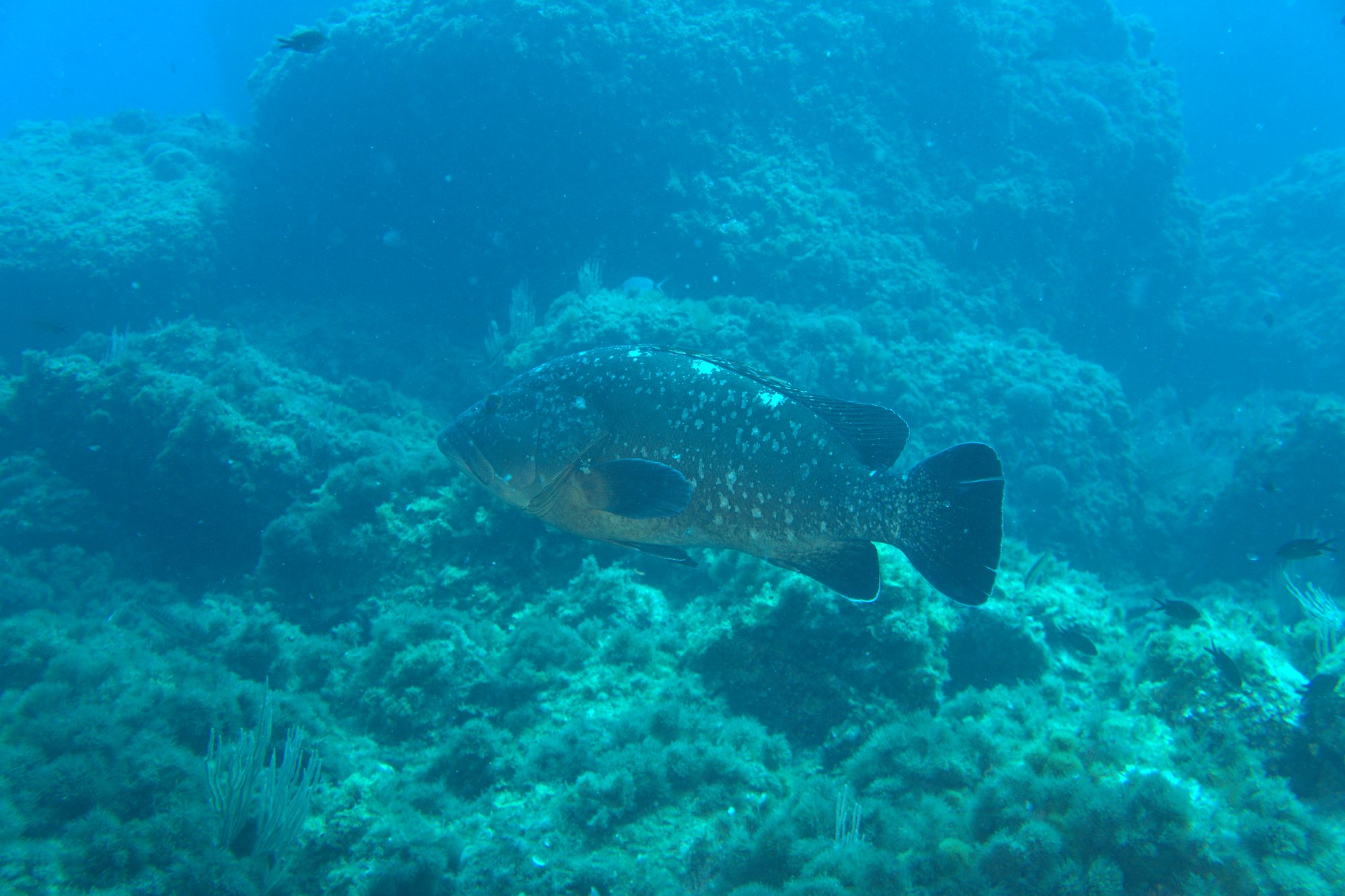
Descend at the buoy and the current announces itself immediately -- a steady pull that tells you whether this will be a circumnavigation or a one-sided wall dive. On the east route toward Carall Bernat, giant groupers appear within the first minutes, holding station in the flow as damselfish and bream species swirl around gorgonian outcrops. The south wall is where the dive intensifies: at 22 metres, rocks covered in nudibranchs and crabs give way to a canyon dropping to 45 metres, its walls lined with gorgonians and patrolled by dentex and scorpionfish the size of your forearm. Above, schools of barracuda hunt bogas against the current. Dutch divers describe this moment -- 80 barracuda, big tuna, enormous groupers -- as unforgettable.
What makes it special
Tasco Petit is the Medes site that the current decides for you. While every other rock in the archipelago can be planned in advance, here the flow on descent determines your route, your depth, and what you see. This unpredictability is exactly what draws experienced divers back. The current that prevents a clean circumnavigation is the same force that packs barracuda into dense hunting schools and pushes eagle rays through in summer groups of ten to fifteen. One diver log captures it simply: rough sea, some current, enormous barracudas, big tuna -- top dive. Where its twin Tasco Gros accommodates, Tasco Petit confronts.
Know before you go
Ask your guide about current direction before descent -- it is the single most important variable at this site. If current prevents circumnavigation, staying on the lee side still delivers excellent diving. On the deep south wall, monitor your computer obsessively; Les Illes diving centre specifically warns that the canyon profile eats into no-decompression time faster than divers expect. Watch for pleasure boats during ascent and deploy your SMB from depth. The 5-metre channel connecting to Tasco Gros makes a productive safety stop when accessible, but crossing into Tasco Gros territory means leaving the current-sheltered zone.
Depth & Profile
Location
42.0411°N, 3.2267°E
Conditions
Difficulty & Certification
Strong currents are frequent and can prevent circumnavigation. The south wall drops to 45 m with deco risk. Current awareness and good air management essential.
Regulations
Parc Natural del Montgri, les Illes Medes i el Baix Ter
Frequently Asked Questions
Why is Tasco Petit considered more advanced than Tasco Gros?▾
When is the best time to see eagle rays at Tasco Petit?▾
Can beginners dive Tasco Petit?▾
What is the deep canyon on the south side?▾
How do the barracuda schools at Tasco Petit compare to other Medes sites?▾
What macro life is there at Tasco Petit?▾
Photos & Video

Jouni Kuisma

Jouni Kuisma

Jouni Kuisma

Jouni Kuisma

Jouni Kuisma

Jouni Kuisma

Jouni Kuisma

Jouni Kuisma

Jouni Kuisma

Jouni Kuisma

Jouni Kuisma

Jouni Kuisma

Jouni Kuisma

Jouni Kuisma

Jouni Kuisma

Jouni Kuisma

Jouni Kuisma

Jouni Kuisma

Jouni Kuisma

Jouni Kuisma

Jouni Kuisma

Jouni Kuisma

Jouni Kuisma

Jouni Kuisma

Jouni Kuisma

Jouni Kuisma

Jouni Kuisma
Log your dives
Track every dive with depth, duration, conditions, and marine life sightings. Join a club and share your underwater experiences.
Try DiveLog — it’s free