Cabo de Gata
Volcanic marine reserve in Almería with 39+ dive sites, caves, tunnels, and craters — one of Spain's top biodiversity hotspots.
Overview
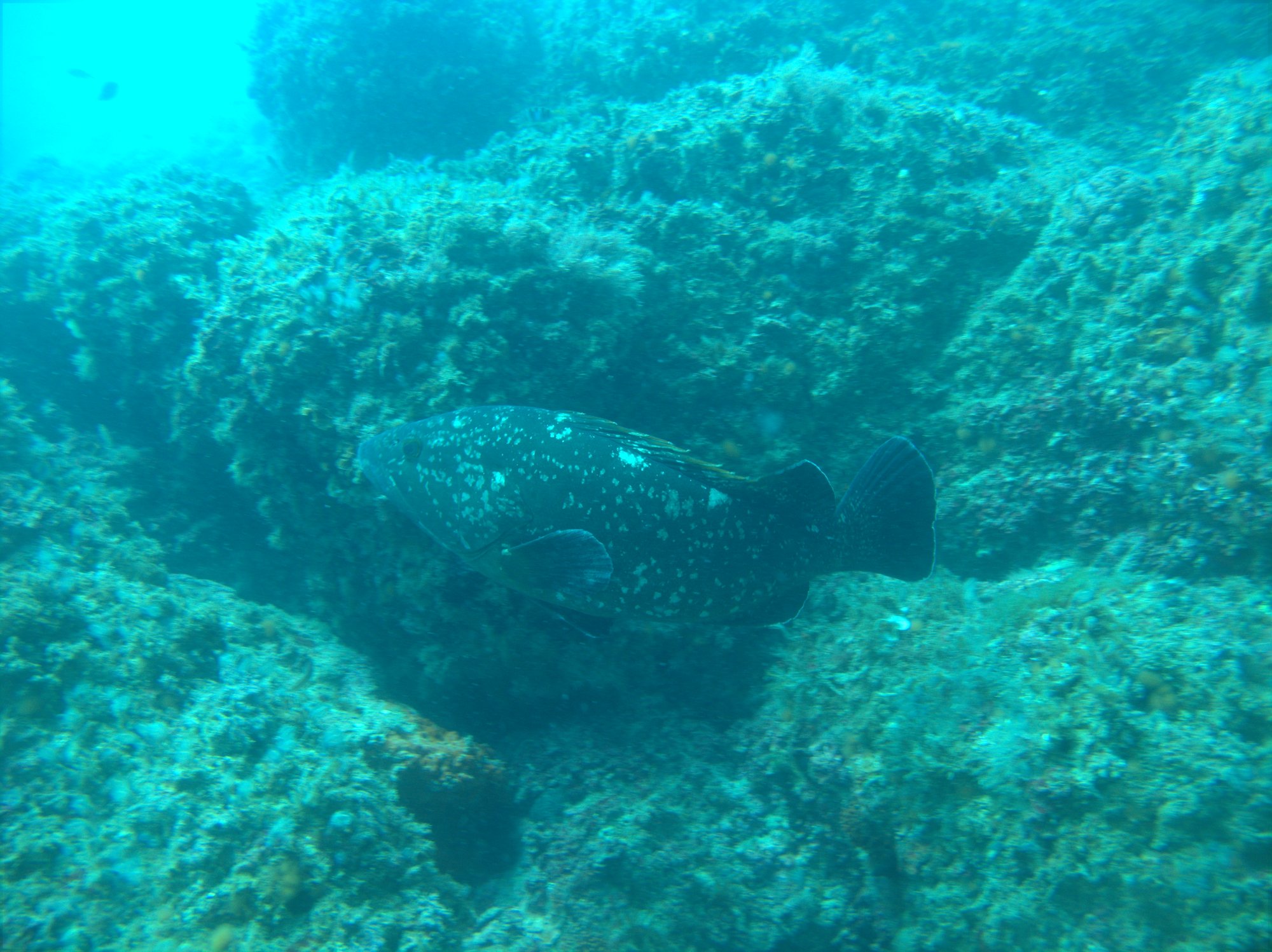
Cabo de Gata is the only volcanic marine reserve in Mediterranean Spain, and it looks nothing like the limestone and granite of Catalonia or Murcia. Most diving unfolds in protected volcanic coves between 5 and 14 metres, where an hour of bottom time is routine and the geology itself is the main attraction. Ancient eruptions carved caves, tunnels, craters, and magmatic walls that alternate with corridors of white sand and Posidonia meadows. Boats depart from La Isleta del Moro or San Jose to reach sites along the cliff coast, split roughly at Cueva del Frances, where large groupers and corvinas patrol fractured rock. The 12,000-hectare reserve hosts over 1,000 species, including the protected giant fan mussel (Pinna nobilis) growing to 80 centimetres in the seagrass. The atmosphere is genuinely different from other Spanish destinations — La Isleta del Moro remains a tiny fishing village where centres know every crevice, groups stay small, and the pace of diving reflects the landscape.
Planning your visit
Book a few days ahead — arriving and diving the same day is not normal here. A car is essential; no public transport connects the park's coastal villages. The San Jose hub works the southern sites while La Isleta centres cover the north — choose your base accordingly, as the two hubs are separated by a stretch of narrow park road. Independent shore diving requires a bureaucratic permit from the Junta de Andalucia that takes one to four weeks to process, though walking into the park office in Rodalquilar can yield a next-day turnaround. The El Vapor wreck is the area's most challenging dive, and centres will evaluate your skills before taking you there — expect to prove yourself on easier sites first. In October, some bars and lodging in San Jose close for the season, so check availability before planning late-season trips.
Geology & underwater terrain
The coastline is built from Neogene calc-alkaline volcanic rocks — andesites, dacites, and rhyolites — formed by Miocene-era eruptions along the Betic volcanic arc. Underwater, these resistant formations create dramatic caves, tunnels, craters, and arches carved by marine erosion along fractures in the dark volcanic rock, with sand corridors and extensive Posidonia oceanica meadows filling the spaces between formations.
Dive Sites (2)
Photos & Video

Jouni Kuisma

Jouni Kuisma

Jouni Kuisma

Jouni Kuisma

Jouni Kuisma

Jouni Kuisma

Jouni Kuisma

Jouni Kuisma

Jouni Kuisma
Frequently Asked Questions
How does Cabo de Gata compare to Cabo de Palos for diving?▾
Can I dive Cabo de Gata independently without a center?▾
Which are the two must-do dives in Cabo de Gata?▾
Do I need a car to dive Cabo de Gata?▾
What makes Cabo de Gata's geology special for diving?▾
When is the best season to dive Cabo de Gata?▾
What are the marine reserve rules I should know?▾
Can I access the dive sites from shore?▾
Log your dives
Track every dive with depth, duration, conditions, and marine life sightings. Join a club and share your underwater experiences.
Try DiveLog — it’s free